31 Aberdare Way, Warwick, WA
15 Photos
Sold
15 Photos
+11
Sold
Offers over $700,000
4
1
3
–
house
Sold
Offers over $700,000
4
1
3
–
house
Subdivision and Development Opportunity
Property ID: 223481
Offers accepted from Tuesday 4th of April
Location, Location, Location
This comfortable 4-bedroom home is on a large 758sqm R20/40 triplex potential block. It is 1.1km from Warwick Grove Shopping Centre, with cafes, shops and movie theatres, and the Warwick Train station and carpark is only 2.5km away for an 18min train ride to Perth city centre.
It is less than half a kilometre to the well rated Warwick Senior High School and there is a choice of four highly rated primary schools within 1.5km. The Warwick sports centre is also just round the corner.
Features
The main living area is a large lounge/dining room adjacent to an open-plan kitchen with an electric oven, 5-burner gas cooktop and extractor with a large work surface.
The large main bedroom has a whole wall of built-in robes and a TV aerial point. There are two other large bedrooms and a fourth smaller one with an exterior door. This could serve as a home office with a private side entry.
The bathroom has a toilet, shower and large corner bath and there is another separate guest toilet. In the passage are two enormous linen cupboards and the large laundry has space for a washer and dryer, and more cupboards!
The main living areas both open onto a large covered al fresco area across the whole rear of the house. One half leads to a lawn and rose garden with a fenced, raised vegetable patch and a small orchard of mangoes, figs, lemons and apples. The other half opens to a deck and sunken barbecue entertainment area, plumbed for gas.
There is a double lock-up garage with an extra carport over the driveway for a third vehicle, and a shed behind the garage for even more storage!
Opportunity
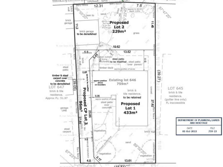
R20/40 zoning permits triplex development. There is already approval for a two-lot sub-division that retains the existing house (as shown). This is potential for a nest-egg capital gain opportunity, allowing you to remain in your home and downsize by selling the rear garden.
Location, Location, Location
This comfortable 4-bedroom home is on a large 758sqm R20/40 triplex potential block. It is 1.1km from Warwick Grove Shopping Centre, with cafes, shops and movie theatres, and the Warwick Train station and carpark is only 2.5km away for an 18min train ride to Perth city centre.
It is less than half a kilometre to the well rated Warwick Senior High School and there is a choice of four highly rated primary schools within 1.5km. The Warwick sports centre is also just round the corner.
Features
The main living area is a large lounge/dining room adjacent to an open-plan kitchen with an electric oven, 5-burner gas cooktop and extractor with a large work surface.
The large main bedroom has a whole wall of built-in robes and a TV aerial point. There are two other large bedrooms and a fourth smaller one with an exterior door. This could serve as a home office with a private side entry.
The bathroom has a toilet, shower and large corner bath and there is another separate guest toilet. In the passage are two enormous linen cupboards and the large laundry has space for a washer and dryer, and more cupboards!
The main living areas both open onto a large covered al fresco area across the whole rear of the house. One half leads to a lawn and rose garden with a fenced, raised vegetable patch and a small orchard of mangoes, figs, lemons and apples. The other half opens to a deck and sunken barbecue entertainment area, plumbed for gas.
There is a double lock-up garage with an extra carport over the driveway for a third vehicle, and a shed behind the garage for even more storage!
Opportunity
R20/40 zoning permits triplex development. There is already approval for a two-lot sub-division that retains the existing house (as shown). This is potential for a nest-egg capital gain opportunity, allowing you to remain in your home and downsize by selling the rear garden.
Features
Outdoor features
Garage
Outdoor area
Indoor features
Built-in robes
Air conditioning
For real estate agents
Please note that you are in breach of Privacy Laws and the Terms and Conditions of Usage of our site, if you contact a buymyplace Vendor with the intention to solicit business i.e. You cannot contact any of our advertisers other than with the intention to purchase their property. If you contact an advertiser with any other purposes, you are also in breach of The SPAM and Privacy Act where you are "Soliciting business from online information produced for another intended purpose". If you believe you have a buyer for our vendor, we kindly request that you direct your buyer to the buymyplace.com.au website or refer them through buymyplace.com.au by calling 1300 003 726. Please note, our vendors are aware that they do not need to, nor should they, sign any real estate agent contracts in the promise that they will be introduced to a buyer. (Terms & Conditions).



