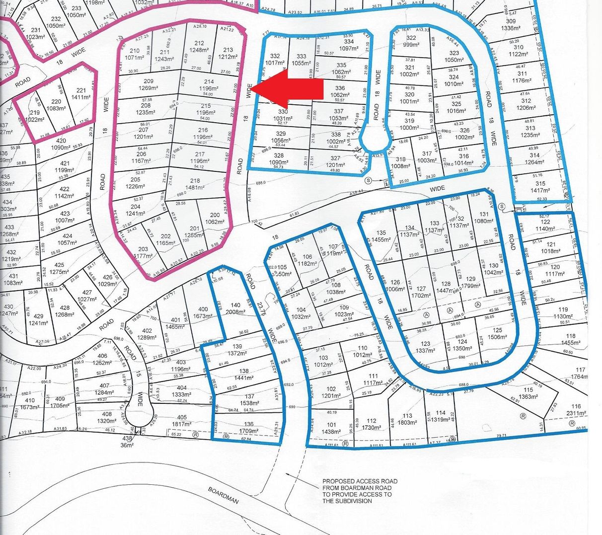
Lot 214 Retford Park Estate, The Highlands, Bowral, NSW
4 Photos
Sold
4 Photos
Sold
$550,000
–
–
–
–
land
Sold
$550,000
–
–
–
–
land
Best Block of Land in Retford Park Estate
Property ID: 32273
A beautiful block of land in the prestigious Retford Park Estate. A near level block of land with a great outlook, close to the park, sports fields and easy access in and out of the estate.
At 1196m2 the land is big enough to build your dream home and pool and much more if you like. With detailed building guidelines this estate will be a sought after location in Bowral.
The land is in stage 3 and advice from the developer is registration will be finalised in July/ August 2017.
At 1196m2 the land is big enough to build your dream home and pool and much more if you like. With detailed building guidelines this estate will be a sought after location in Bowral.
The land is in stage 3 and advice from the developer is registration will be finalised in July/ August 2017.
For real estate agents
Please note that you are in breach of Privacy Laws and the Terms and Conditions of Usage of our site, if you contact a buymyplace Vendor with the intention to solicit business i.e. You cannot contact any of our advertisers other than with the intention to purchase their property. If you contact an advertiser with any other purposes, you are also in breach of The SPAM and Privacy Act where you are "Soliciting business from online information produced for another intended purpose". If you believe you have a buyer for our vendor, we kindly request that you direct your buyer to the buymyplace.com.au website or refer them through buymyplace.com.au by calling 1300 003 726. Please note, our vendors are aware that they do not need to, nor should they, sign any real estate agent contracts in the promise that they will be introduced to a buyer. (Terms & Conditions).


